60.000

Πωλείται γωνιακό οικόπεδο 734τμ 100μ από τη θάλασσα στην Κριθαριά

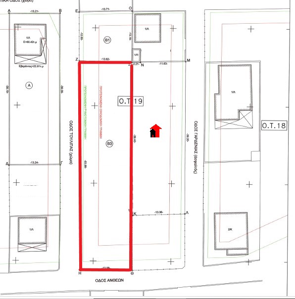
Στην περιοχή της Κριθαριάς μόλις 100μ από την ομώνυμη παραλία, πωλείται γωνιακό οικόπεδο 734τμ άρτιο και οικοδομήσιμο, κατάλληλο για κάθε χρήση.
Το ακίνητο διαθέτει πρόσοψη 54μ και 13,5μ αντίστοιχα στους εφαπτόμενους σε αυτό δρόμους, βρίσκεται εντός των ορίων του οικισμού και μπορεί να κτίσει έως 400τμ με ανώτατη κάλυψη 60%.
Κατάλληλο για την κατασκευή μόνιμης ή εξοχικής κατοικίας αλλά και για επαγγελματική αξιοποίηση.
New Age Real Estate

Λεπτομέριες

Κωδικός : PLOT FOR SALE 734
Τιμή : 60.000
Τετραγωνικά : 734
Τοποθεσία : ΔΥΤΙΚΗ ΜΑΓΝΗΣΙΑ
Διεύθυνση : ΚΡΙΘΑΡΙΑ
ΤΚ : 38334
Κατηγορία : Γη
Ενεργειακή Κλάση : -
Κωδικός ακινήτου : 31819

Ευρεση στον Χαρτη

newage
I consent to have this site collect my Name, Email, and Phone.

Compare Listings

Τίτλος Τιμή Κατάσταση Τύπος Περιοχή Σκοπός υπνοδωμάτια Μπάνια